SJ/T 11461.5.1-2013是關于有機發光二極管顯示器(OLED)的環境試驗方法的標準,該標準詳細規定了有機發光二極管顯示器在各種環境條件下的測試要求和方法。
一、范圍:
SJ/T 11461 的本部分規定了評價有機發光二極管 (OLED) 顯示屏和模塊的機械耐久性及包裝運輸的試驗方法,同時盡可能考慮到IEC 60068 中規定的環境試驗方法 。本部分是為評價OLED 顯示器件機械耐久性能而確定的統一優選試驗方法。
本部分規定了兩類機械試驗,一類與包裝運輸環境有關。振動、沖擊、靜態強度、四點彎折和剝產落試驗適用于包裝運輸環境。此外,機械試驗也可按照應用應用類別進行規定,如手機、便攜式電腦、顯示器和大尺寸電視應用類別。因樣品尺寸或應用類別需特殊考慮或有限條件的試驗方法應在標準中注明。
二、試驗項目:
振動試驗、沖擊試驗、運輸跌落試驗等。
四、設備廠商:
環儀儀器
.jpg)
五、試驗程序(部分):
運輸跌落試驗:
試驗包裝箱應裝滿手機或筆記本電腦用OLED 模塊或顯示屏,如果試驗樣品的數量不足未能填滿包裝箱,則可用無機械缺陷的虛擬樣本填補。確保試驗包裝箱正常封裝,如同發貨狀態。相關規范應給出試驗樣品的包裝數量。
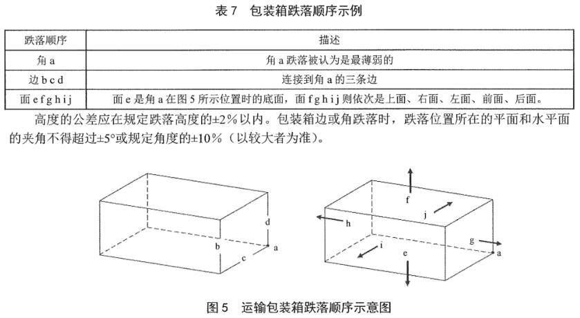
在大氣條件、跌落高度和包裝狀態都已規定的情況下,試驗包裝箱置于所需的跌落高度位置,釋放包裝箱使其自由落體并碰撞剛性表面。按照 ISO 2248:1985 第 7 章和附錄的規定,及 ISO 2206 給出的標識方法,試驗包裝箱應進行面、棱和角跌落三種基本跌落方式。一種跌落方式進行多次試驗,或 2 個~3個組合跌落方式的試驗,適用于檢測產品在運輸和裝卸過程中承受各種垂直碰撞的機械耐久性 。
表7 給出的是移動用 OLED 產品運輸包裝箱跌落方式的試驗順序。









